Ház eladó

Budapest XI. ker., Kápolna út - Péterhegy
300.000.000 Ft
€ 824.470
6 szoba 6 szoba
250 nm 250 nm

Ház eladó

Budapest XI. ker., Kápolna út - Péterhegy

Leírás

Kizárólag irodánk kínálatában!

Budapest XI. kerületének kedvelt részén, Péterhegyen, a Kápolna úton kínálunk megvételre egy jó állapotú, háromszintes családi házat, csendes, zsákutcás környezetben.

Az ingatlan eredetileg 1982-ben épült alagsor és földszint kialakítással, majd 2002-ben egy további emeleti szinttel bővítették. A ház teljes alapterülete 250 nm, amelyhez egy kb. 200 nm-es kert tartozik.

A földszinten tágas nappali, konyha, hálószoba, fürdőszoba, külön WC, gardrób, valamint mosókonyha kapott helyet.
Az emeleten négy hálószoba található, mindegyik erkélykapcsolattal, valamint egy fürdőszoba.

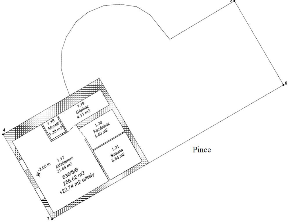
A alagsori szinten konditerem, szauna és tárolóhelyiségek kerültek kialakításra. A ház különlegessége, hogy a lépcsőházban egy beépített jakuzzi is helyet kapott, amely tovább növeli az otthon kényelmét.

Az ingatlan jó állapotú, belső terei gondosan karbantartottak.

A telken belül található egy két autó befogadására alkalmas garázs, ahol egy parkolóhely ára 7 millió Ft. A garázshelyek külön megvásárolhatók, így mindkét hely megvásárlása esetén 14 millió Ft. A garázshelyek megvásárlása nem kötelező, parkolás az utcán is lehetséges.

A csendes, zsákutcás elhelyezkedés nyugodt, családbarát környezetet biztosít, miközben a környék infrastruktúrája és közlekedése is kedvező.

Az ingatlan per és tehermentes.

További kérdés esetén vagy időpont egyeztetés céljából, keressen minket bizalommal.
Az ingatlan banki finanszírozással is megvásárolható, kérje ingyenes konzultációnkat.
Vevőink részére a közvetítés díjmentes!

Összes mutatása

Tulajdonságok

Ref.:
60160
Állapot:
Lift:
Nincs
Fűtés:
Egyéb egyedi (Hőszivattyús fűtés)
Kilátás:
Kertre néző
Építőanyag:
Tégla
Összes mutatása

Energetikai tanúsítvány

Ehhez az ingatlanhoz nem tartozik energetikai tanúsítvány
Építés éve:
1982

Vegye fel velünk a kapcsolatot

* Ez a mező kötelező
Franchisee
Undici Quartiere Kft.
1118 Budapest, Rétköz utca, 16.
1118 Budapest, Rétköz utca, 16. XI. kerület Gazdagrét, Sasad
Hétfő-Péntek: 09:00-19:00, Szombat: 09:00-13:00

Munkatársaink


  • Kíra Tóth
    Asszisztens

  • Bence Zoltán Nárai
    Képviselő

  • Dorina Gál
    Képviselő

  • Alexandra Szilvágyi
    Képviselő

  • Gábor Tóth
    Irodatulajdonos
Franchisee
Undici Quartiere Kft.
1118 Budapest, Rétköz utca, 16.
Tecnocasa Group Logo

Minden ügynökségnek saját tulajdonosa van és önállóan működik.

árfolyam 17/04/2026
EUR 363.87 HUF

cégünk

Elérhetőségeink

2026 Gruppo T.F.M. Szolgáltató Zrt. - P. IVA 27421275-2-42 - 1068 Budapest, Király utca 102.. Minden ügynökségnek saját tulajdonosa van és önállóan működik.

Adatvédelmi irányelvek | Cookies tájékoztató